近日,深圳市规划和自然资源局龙华管理局正式发布了关于公布深国际华南A808-0031宗地项目《建设工程规划许可证》及总平面图,标志着这一总建筑面积近20万平方米的深国际新盘项目迎来全新进度。

作为深国际华南物流园土地整备利益统筹项目的重要组成部分,该项目不仅规划了千余套住宅,还配建幼儿园等配套设施,未来将助力龙华形成“产城融合”的新格局。
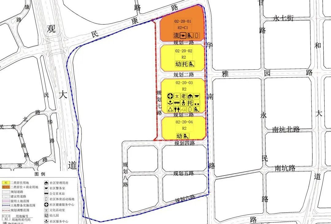
据悉,深国际A808-0031地块由龙深国际置业(深圳)有限公司开发,位于龙华区民治街道华南路与民乐路交汇处西北侧。项目总占地面积2.19万平方米,总建筑面积19.59万平方米,容积率5.76,绿化率35.01%,规划住宅70年产权。
项目一期包括5栋37-47层高的住宅楼和1栋4层幼儿园,总户数1016户,车位比例达1:1.22,充分满足居民生活需求。住宅层高3米,采用3梯5户设计,主打高得房率产品,目前已完成建设工程规划许可证审批并动工。


本次的A808-0031地块从位置上看,地处民治街道民乐社区,原华南物流园区域;南侧紧邻近期热盘鹏宸云筑,周边与龙岸花园、万科四季花城等成熟社区相连,生活氛围浓厚。

从更大的范围看,整个深国际华南物流园土地整备利益统筹项目规划4个地块,编号及用地面积分别为02-20-01地块约29036㎡、02-20-02地块约25008㎡、02-20-03地块约32737㎡、02-20-04地块约21968㎡,合计用地面积为约108749㎡。
值得一提的是,项目所在区域被定位为“华南数字超级总部基地”,已有世界500强企业海克斯康进驻,深国际华南数字谷全面建设中。此外,南侧的鹏宸云筑项目(总建面31万平方米)及周边03-04、03-08地块未来均规划为纯住宅用地,预计几年内,该区域将崛起为集数字经济、物流总部、高档住宅、商业学校于一体的大型综合体,总建筑面积超百万平方米。
深国际新盘的推进,龙华城市更新又迎来重要进展,更折射出深圳中轴核心区位的价值提升。随着项目细节陆续披露,市场正密切关注这一标杆之作如何重塑区域生活图景,值得期待。

我来说两句

